南区中古戸建 小中学校歩13分圏内 バス停歩2分 南BL 神奈川県横浜市南区別所中里台|3,880万円の中古一戸建て|センチュリー21マイホーム
| 価格 | 3,880万円 ![]() |
||||
|---|---|---|---|---|---|
| 所在地 | 神奈川県横浜市南区別所中里台
この地域周辺の物件を見る |
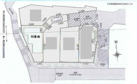
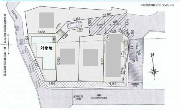
土地面積 | 120.05m² (36.31坪) | 建物面積 | 102.06m2 |
| 築年月 | 2019年3月築 | 間取り | 4SLDK (-) | ||
| 交通 |
京急本線 弘明寺 徒歩23分/バス6分 別所小学校入口 停歩2分
横浜市営地下鉄ブルーライン 上大岡 バス14分 水道橋下 停歩8分 |
||||
| 特徴 |
|
|---|---|
| セールスコメント | カースペース有。 |
| 採光面 | - | 構造/階数 | 木造/地上2階建 |
|---|---|---|---|
| 建ぺい率 | 50(%) | 容積率 | 100(%) |
| 駐車場 | 有 | 現況/引渡し | 居住中/相談 |
| 土地権利 | 所有権 | 私道負担面積 | - |
| 接道状況 | 接道: 北 私道 道路幅: 2.5m | 用途地域 |
第一種住居地域
|
| セットバック | - | 法令上の制限 | - |
| 地目 | 宅地 | 地勢 | |
| 建築確認番号 | 都市計画 | 市街化区域 | |
| 取引態様 | 仲介 | ||
| 情報更新日 | 2026年04月18日 | 次回更新日 | 2026年05月02日 |
| 小学校区 | () |
中学校区 | 南が丘中学校 (神奈川県横浜市南区) この学区の他の物件を見る |
|---|
| 価格 | 万円 | ||
|---|---|---|---|
| 年利率 | % |
||
| ボーナス払い | 返済年数 | ||
| 頭金 | 直接入力する | 万円 | |

毎月のご返済額 |
ボーナス(×年2回) |
物件価格3,880万円 |
リビングイン階段、カウンターキッチン仕様なので家族の会話が自然と弾みます♪